
Quins reptes planteja la plasticitat acústica dels ratpenats comuns de Catalunya a l'hora d'identificar-los?
L’objectiu principal d’aquest estudi era investigar la plasticitat acústica en l’ecolocalització dels ratpenats de dues espècies críptiques relativament comunes, per evitar que arribi a comprometre la seva identificació acústica. En aquest sentit, es va estudiar la plasticitat acústica extrema de Pipistrellus pygmaeus (pipistrel·la nana), no documentada fins a dia d’avui, en ambients oberts i costers, i que es sobreposa amb els paràmetres clàssics de l’ecolocalització de Pipistrellus pipistrellus (pipistrel·la comuna).
Àrea d'estudi: Delta de l'Ebre
Aquest estudi va combinar vàries metodologies de treball:
Sessions de captura: es van dur a terme en diferents hàbitats del Delta de l’Ebre (llacunes, arrossars, zones salicornars i zones urbanes) durant els mesos de juny a agost, l’any 2019. Per capturar els ratpenats es van utilitzar reclams acústics per atreure les espècies objectiu i de cada individu se’n va extreure una mostra de saliva per fer-ne la identificació genètica.
Enregistraments acústics: les sessions d’acústica es van dur a terme amb detectors automàtics passius durant els estius de 2016 i 2019 en tots els ambients disponibles al delta. En paral·lel, també es van registrar gravacions acústiques durant l’emergència dels ratpenats de les caixes refugi, per tal de poder comparar les gravacions, amb les espècies presents a les caixes confirmades mitjançant genètica (dels excrements). Les gravacions acústiques es van analitzar manualment, però també amb algoritmes de classificació automàtica disponibles online.
Qüestionari amb especialistes: Addicionalment es va realitzar un qüestionari anònim on vàries desenes d’especialistes en acústica de ratpenats havien d’identificar una sèrie de crits, amb l’objectiu d’avaluar la fiabilitat de la classificació dels registres acústics de P. pygmaeus i P. pipistrellus.

Vam obtenir aquests resultats:
- Es va capturar un total de 207 ratpenats identificats com a P. pygmaeus i confirmats genèticament, i no es va arribar a capturar ni enregistrar de cap refugi l’espècie P. pipistrellus durant tot el mostreig.
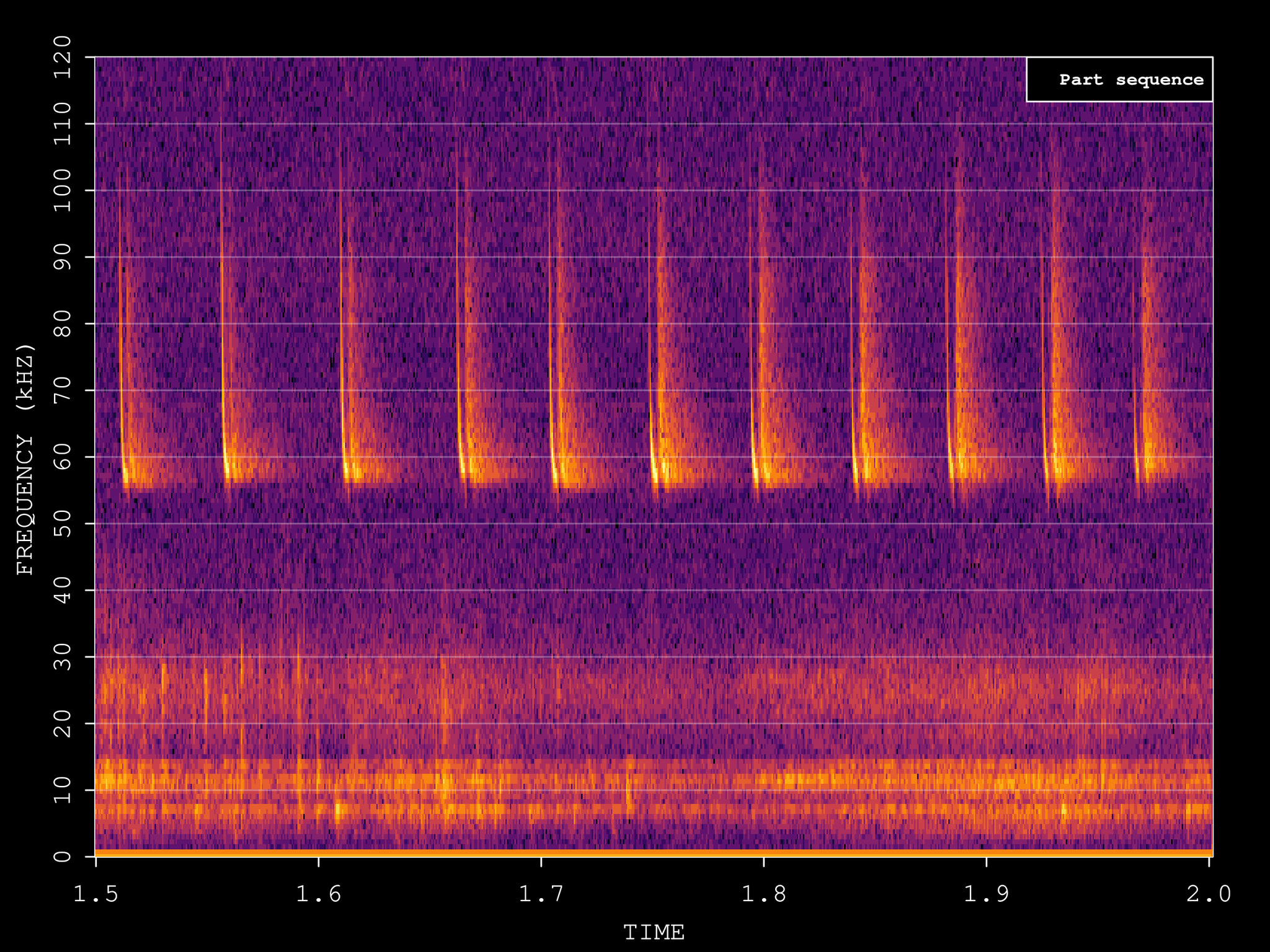
- Dels registres realitzats en els refugis ocupats únicament per P. pygmaeus, un 29% d’ells tenien crits amb freqüències típiques de P. pipistrellus. Es van arribar a enregistrar crits amb la freqüència de màxima intensitat als 44 kHz (per sota els límits establerts per aquesta espècie que de mitjana té 54 kHz).
- Es va poder comprovar que aquesta plasticitat variava segons si els juvenils volaven o no. Quan els juvenils no volaven (només els adults es gravaven acústicament) casi el 60% dels registres acústics tenien freqüències per sota els 51 kHz. Mentre que quan els juvenils ja eren volanders aquesta proporció baixava fins el 17%.
- L’habitat tenia un efecte important alhora de quantificar quants registres acústics es trobaven per sota els límits acústics de l’espècie P. Pygmaeus. A les llacunes s’enregistraven més quantitat de crits d’ecolocalització per sota els 51 kHz.
Pel que fa a la classificació automàtica, es va detectar un 31% de falsos positius de P. pipistrellus. I a través del formulari amb experts, el grau d’error variava entre un 6% i un 90%, depenent dels crits utilitzats.

Aquest estudi ens proporciona algunes reflexions:
- La pipistrel·la nana (P. pygmaeus) mostra una gran plasticitat acústica degut a la gran densitat d’individus coespecífics volant a la mateixa àrea, emetent crits d’ecolocalització dins el rang de freqüències típics de la pipistrel·la comuna (P. pipistrellus).
- L’absència de captures de la seva espècie germana, la pipistrel·la comuna, durant aquest estudi i durant els 20 anys anteriors, recalca que els crits enregistrats amb característiques d’aquesta espècie amb detectors automàtics son produïts per la pipistrel·la nana amb gran seguretat.
- La plasticitat acústica de la pipistrel·la nana és deguda a: l’absència de la pipistrel·la comuna en aquests ambients, l’estructura de l’hàbitat i la gran densitat d’individus present al Delta de l’Ebre.
- Està demostrat que els crits d’ecolocalització a altes freqüències son molt més costosos de produir a nivell energètic. D’aquesta forma, la pipistrel·la nana probablement ocupa el nínxol acústic de la pipistrel·la comuna per reduïr el cost de l’ecolocalització. Per altra banda, el fet d’ocupar aquest nínxol acústic disminueix la probabilitat de solapar els crits d’ecolocalització de diferents individus quan la densitat d’aquests és molt alta.
- Les classificacions a nivell d’espècie obtinguts tant en la classificació automàtica (amb classificadors automàtics) com mitjançant el qüestionari (utilitzant el criteri expert), confonien els crits de P. pygameus proporcionats amb els de P. pipistrelles donant lloc a identificacions errades.
- Aquest estudi pot ser entès com una crida a la precaució alhora de classificar registres acústics fins a nivell d’espècie quan es tracta de zones que poden tenir grans densitats de ratpenats i la possible absència d’alguna espècie.